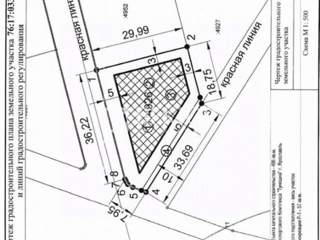
Арт. 89921135. Предлагаем участок в покупку под зайстроку Ритейла в развитом районе горорда Ярослвль! ------------------------------------------------- ----------- Основные характеристики: -Кадастровый номер 76:23:010601:48 -Коммуникации по границе участка ------------------------------------------------- ------------- Без комиссии для покупателя! ------------------------------------------------- ------------- 1. Больше информации по телефону и в форме чата. 2. Для иногородних клиентов оперативно покажем объект по видеосвязи. 3. Приглашаем посредников к сотрудничеству на выгодных условиях. 4. Если этот объект не понравился по фотографиям и описанию - обращайтесь, предложим альтернативу. 5. Фиксируем звонки в режиме 24/7, для Вашего удобства работает контакт-центр. Земельный участок на улице Блюхера в городе Ярославль.











































































